JACHTA SNĚHURKA > PLAVEBNÍ DENÍK > Plavební deník 2017 > MARTINIKJACHTA SNĚHURKA

JACHTA SNĚHURKA  
PLAVEBNÍ DENÍK  
Plavební deník 2017  
MARTINIK

MARTINIK

DOMINIKA

BARBADOS

TOBAGO

TRINIDAD

GRENADINY

SV. VINCENT

SV. LUCIE

MARTINIK

MARTINIK

22.12. 2016 připlouvám po nepříjemné plavbě z Venezuely proti větru a vlnám na Martinik. Po 3 letech se opět setkávám s českou komunitou a je to příjemné setkání v oblíbeném baru Mango. Příjemné je setkání s Pepou Boháčem, který se rozhodl zachránit českou dřevěnou loď Viktorku. Přestěhoval se na ní a jiľ půl roku na ní pracuje. Hned 25.12. přilétá první návštěva z Čech a sice jiľ známá dvojice Lehoun + Coura. Okamľitě vyplouváme na jih a postupně navštívíme všechny ostrovy aľ na Grenadu, odkud se vrací domů letadlem.

1371_full_19.jpg
1371_full_18.jpg
1371_full_17.jpg
1371_full_16.jpg
1371_full_15.jpg
1371_full_14.jpg
1371_full_13.jpg
1371_full_11.jpg
1371_full_10.jpg
1371_full_9.jpg
1371_full_7.jpg
1371_full_8.jpg
1371_full_6.jpg
1371_full_5.jpg
1371_full_4.jpg
1371_full_3.jpg
1371_full_2.jpg
1371_full_1.jpg
1371_full_0.jpg
1371_full.jpg

Já se vracím zpět na Martinik a čekám na druhou návštěvu: Láďa,Libor a Pavel. Tentokrát máme málo času, takže plujeme pouze na ostrov Dominika a zpět.

1373_full_20.jpg
1373_full_18.jpg
1373_full_14.jpg
1373_full_15.jpg
1373_full_17.jpg
1373_full_16.jpg
1373_full_13.jpg
1373_full_12.jpg
1373_full_11.jpg
1373_full_10.jpg
1373_full_8.jpg
1373_full_9.jpg
1373_full_7.jpg
1373_full_6.jpg
1373_full_5.jpg
1373_full_3.jpg
1373_full_2.jpg
1373_full_1.jpg
1373_full_0.jpg
1373_full.jpg

Další a nejmilejší návštěvou jsou vnoučata David, Natálka a Pavla. Celý týden jsme se nezastavili, protože jsem jim chtěl ukázat co nejvíce. Doplachtili jsme na Sv. Lucii a potom zpět na Martinik. Byl to pro děti krásný týden plný dobrodružství i krásná oslava 11. narozenin.

1375_full_18.jpg
1375_full_17.jpg
1375_full_15.jpg
1375_full_16.jpg
1375_full_12.jpg
1375_full_14.jpg
1375_full_13.jpg
1375_full_11.jpg
1375_full_10.jpg
1375_full_9.jpg
1375_full_8.jpg
1375_full_7.jpg
1375_full_6.jpg
1375_full_5.jpg
1375_full_4.jpg
1375_full_3.jpg
1375_full_2.jpg
1375_full_1.jpg
1375_full_0.jpg
1375_full.jpg

Na Martiniku právě probíhá karneval. Na 5 dnů se zde zastaví život, zavřou se obchody a služby a všichni se převlečou za masky. Největší je samozřejmě ve Fort de France, kde každé odpoledne až do noci chodí průvod masek a všude se tančí a popíjí.

1377_full_8.jpg
1377_full_7.jpg
1377_full_6.jpg
1377_full_5.jpg
1377_full_4.jpg
1377_full_3.jpg
1377_full_2.jpg
1377_full_1.jpg
1377_full_0.jpg
1377_full.jpg

Nyní pro mě opět nastává čas oprav. Příběh generátor zřejmě nikdy neskončí dokud ho asi nevyhodím do moře. Tentokrát již odmítám platit drahé peníze za opravu a rozeberu ho sám. Je špatný stírací pístní kroužek, takže by to nemělo být drahé. Jenom musím počkat až ho pošlou z Německa. Mezitím budo dělat mnoho dalších prací, které nikdy nekončí.

1379_full_3.jpg
1379_full_2.jpg
1379_full_1.jpg
1379_full_0.jpg
1379_full.jpg

Čekání na náhradní díly si zpříjemňuji dalšími opravami. Ušiji si potah na nové dinghy,obrousím a natřu třechu salonu, kompletně musím přetěsnit všechna okna, odlepuje se mičalounění na stropě, obrousím a nalakuji vstupní schody a desky hlavní lukny atd................

1383_full_13.jpg
1383_full_12.jpg
1383_full_11.jpg
1383_full_10.jpg
1383_full_9.jpg
1383_full_8.jpg
1383_full_7.jpg
1383_full_6.jpg
1383_full_5.jpg
1383_full_4.jpg
1383_full_3.jpg
1383_full_2.jpg
1383_full_1.jpg
1383_full_0.jpg

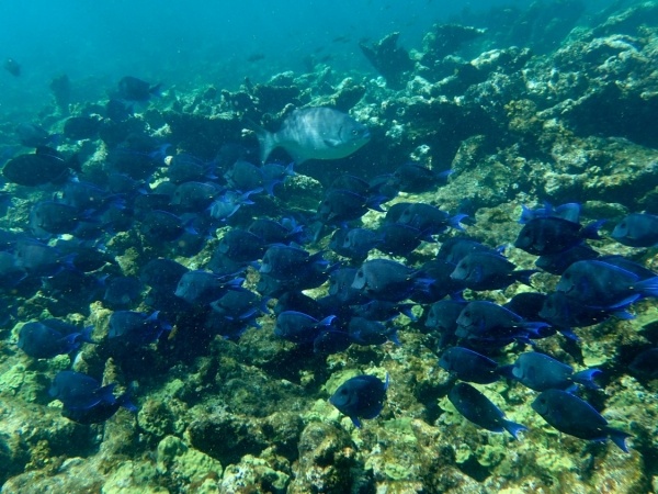
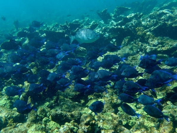
Po 3 týdnech hektických oprav si potřebuji oddechnout a zaplavat v čisté vodě. Vyplouvám na sever a dopluji k jižním ostrovům na Guadeloupe. Petit Terre je přírodní rezervace, kde je hezká příroda na břehu i pod vodou. Potom přepluji na ostrovy Les Saintes, kam se vždy také rád vracím.

1385_full_28.jpg
1385_full_27.jpg
1385_full_26.jpg
1385_full_25.jpg
1385_full_24.jpg
1385_full_23.jpg
1385_full_22.jpg
1385_full_21.jpg
1385_full_20.jpg
1385_full_19.jpg
1385_full_18.jpg
1385_full_17.jpg
1385_full_15.jpg
1385_full_16.jpg
1385_full_14.jpg
1385_full_10.jpg
1385_full_9.jpg
1385_full_13.jpg
1385_full_12.jpg
1385_full_11.jpg
1385_full_8.jpg
1385_full_7.jpg
1385_full_6.jpg
1385_full_5.jpg
1385_full_4.jpg
1385_full_3.jpg
1385_full_2.jpg
1385_full_1.jpg
1385_full_0.jpg
1385_full.jpg

Při návratu na Martinik se mi konečně poštěstí mít čistou oblohu bez mraků. Sopka Mont Pelée 1397 m totiž bývá až 300 dnů v roce zahalená mraky. Ihned se ráno vydávám na výšlap a po 2 hodinách stojím na vrcholu. Dolů volím jinou trasu a po dalších 4 hodinách jsem opět u moře. Byl to krásný výšlap s nádherným výhledem na Atlantický oceán a současně i Karibské moře. Při návratu do zátoky Le Marin na jihu ostrova se na logu natočí 40000 mil, které jsem již se Sněhurkou uplul.

1387_full_18.jpg
1387_full_17.jpg
1387_full_16.jpg
1387_full_15.jpg
1387_full_14.jpg
1387_full_13.jpg
1387_full_12.jpg
1387_full_11.jpg
1387_full_10.jpg
1387_full_9.jpg
1387_full_8.jpg
1387_full_7.jpg
1387_full_6.jpg
1387_full_5.jpg
1387_full_4.jpg
1387_full_3.jpg
1387_full_2.jpg
1387_full_1.jpg
1387_full_0.jpg
1387_full.jpg

Je 30. dubna Sněhurka stojí na mooringu v zátoce a já odjíždím s batohem domů. Jedu na krátkou návštěvu Čech a doufám, že se budu moci brzy vrátit a pokračovat v plavbě okolo světa a poznávání jeho krás.

1389_full_3.jpg
1389_full_2.jpg
1389_full_1.jpg
1389_full_0.jpg
1389_full.jpg

17. srpna odlétám z Prahy směr Martinik. Zde se opět setkám se "stálými" osadníky zátoky le Marin. Sněhurka stojí

v pořádku na bójce a začínající sezóna hurikánů nevěští nic příjemného. Je velmi dusno, málo větru, občas zaprší

a hlavně v Atlantiku se tvoří jedna tropická bouře za druhou. Naštěstí se zatím Martiniku vyhýbají

1 (4).jpg
1 (6).jpg
1 (5).jpg
1 (3).jpg
1 (2).jpg
1 (1).jpg

Okamžitě se pouštím do oprav. Nejdříve vymontuji odsolovač a tento "skvělý vynález" italské firmy Schenker již nechci

na lodi nikdy vidět a putuje tedy do bazaru. Další trápení pokračuje s generátorem. Ten rozchodím, že startuje velmi dobře,

ale pro změnu nereguluje výkon proudu. 

1 (7).JPG
1 (8).JPG
1 (9).jpg
1 (10).jpg
1 (11).jpg
1 (12).jpg

Dalším problémem jsou nádrže na naftu. Při naplnění po okraj naftou a při náklonu lodě mě prosakovala nafta kolem 

originálních vík z plastu. Doma jsem si tedy udělal pořádné z hliníku a nyní je musím vyměnit. Znamená to rozebrat

celou podlahu v salonu a vymontovat mnoho hadic a kabelů. To vše při teplotě  35 st.

1 (13).jpg
1 (14).jpg
1 (15).jpg
1 (16).jpg
1 (17).jpg
1 (18).jpg

Když již mám rozebranou podlahu, tak se rozhodnu vyčistit vodní nádrže. Z hrůzou však zjistím, že jsou plné

jakéhosi bílého bláta. Je to elektrolýza, která pomalu rozežírá hliník. Na dně jsou vyžrané jamky někde až 3 mm.

Vůbec jsem netušil, že se také ve sladké vodě může dělat elektrolýza. Vše důkladně vyčistím a namontoji do

nádrží zinkové anody. Ty by měly elektrolýzu zastavit.

1 (24).jpg
1 (21).jpg
1 (22).JPG
1 (23).JPG
1 (20).jpg
1 (19).jpg

Abych se trochu ochladil, tak musím oškrabat celý trup pod vodou. Ten je neskutečně zarostlý již po 9 měsících od posledního

nátěru. Je jasné, že americký antifouling West Marine, který jsem si koupil na Floridě je na dvě věci.....

1 (30).JPG
1 (29).JPG
1 (25).JPG
1 (26).JPG
1 (27).JPG
1 (28).JPG

Hurikán IRMA byl nejsilnější za poslední desítky let v Karibiku. Martinik zasáhl pouze okrajem a 2 dny pršelo

a foukal vítr do 30 kn. Pak zde začalo opět krásné počasí, ale  severní ostrovy jsou doslova zničené

1.jpg
2.jpg
3.jpg
4.JPG
5.JPG
6.JPG

Já opět pokračuji v opravách a tentokrát musím rozebrat kotevní vrátek a vyměnit ložiska a těsnění.

To se lehce řekne, ale trvá mi to 5 dnů, než vše rozeberu a seženu nové díly, které jsou zde velmi drahé.

7.jpg
8.jpg
9.jpg
10.jpg
11.jpg
12.jpg

V Atlantiku se opět tvoří tlaková níže, ze které se rychle udělá tropická bouře a předpoklad je přeměna na hurikán Maria. Tentokrát se bude pohybovat

velmi blízko Martiniku. V neděli 17.9. raději odpluji na jih a jedu se schovat do mariny na Svaté Lucii. Dobře jsem udělal, protože hurikán zesílil

již na stupeň 3 a více se stočil k Martiniku. Zde v marině je vítr jenom do 30 kn a 3 dny prší. Na Martiniku však foukalo 50 kn a několik lodí je poškozených.

1.jpg
2.jpg
3.jpg
4.jpg
5.jpg
6.jpg

Po 3 dnech na Lucii se vracím zpět na Martinik. Naštěstí zde hurikán Maria nezpůsobil velké škody. Pouze několik málo

lodí skončilo na pláži nebo v mangrovech.

6.JPG
3.JPG
4.JPG
5.JPG
2.JPG
1.JPG

Mě čeká další práce a tentokrát opět pokračuje nekonečný příběh generátor. Opět ho musím vymontovat a odvézt do servisu.

Ale tentkokrát již určitě naposledy!

12.JPG
11.JPG
9.JPG
10.JPG
8.JPG
7.JPG